1091 Central Avenue - Retail warehouse and gas bar site sketch - (Screen capture via City of Thunder Bay Website)
City council has approved by-law changes to support a significant retail warehouse and gas bar development on Central Avenue.
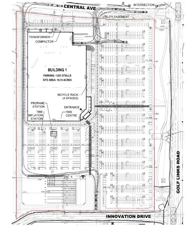
The property, 1091 Central Avenue, is located on the south side of Central Avenue, the west side of Golf Links Road and on the north side of Innovation Drive, to the west of the Golf Links Road and Central Avenue intersection.
The applicants were approved for changes that would allow them to operate a 15,049.5m2 facility, including a gas station.
Other approved changes included:
- Reducing the minimum landscaping from 20 per cent to 15 per cent
- Increasing the maximum driveway width from 9.0m to 9.5m
Public consultation and deputations at Monday’s meeting highlighted concerns related to traffic and environmental impacts.
Administration highlighted that the Site Plan Control process will be able to address these concerns.
The applicants noted that multiple studies have been conducted and passed, including:
- Planning Justification Report
- Functional Servicing Report
- Stormwater Management Plan
- Stage 1 and 2 Archaeological Assessment
- Transportation Impact Study
“Following a comprehensive review of applicable policies, agency input and community feedback planning services has determined that the proposal is well aligned with the city’s official plan,” said Commissioner of Growth Keri Marshall. “(The project is) consistent with provincial direction and an appropriate use of the subject lands, subject to further refinement through the site plan control process administration recommends approval of this application.”
According to the applicants, the development is set to bring roughly $1 million in additional tax revenue to Thunder Bay while creating over 350 jobs and servicing the region.





